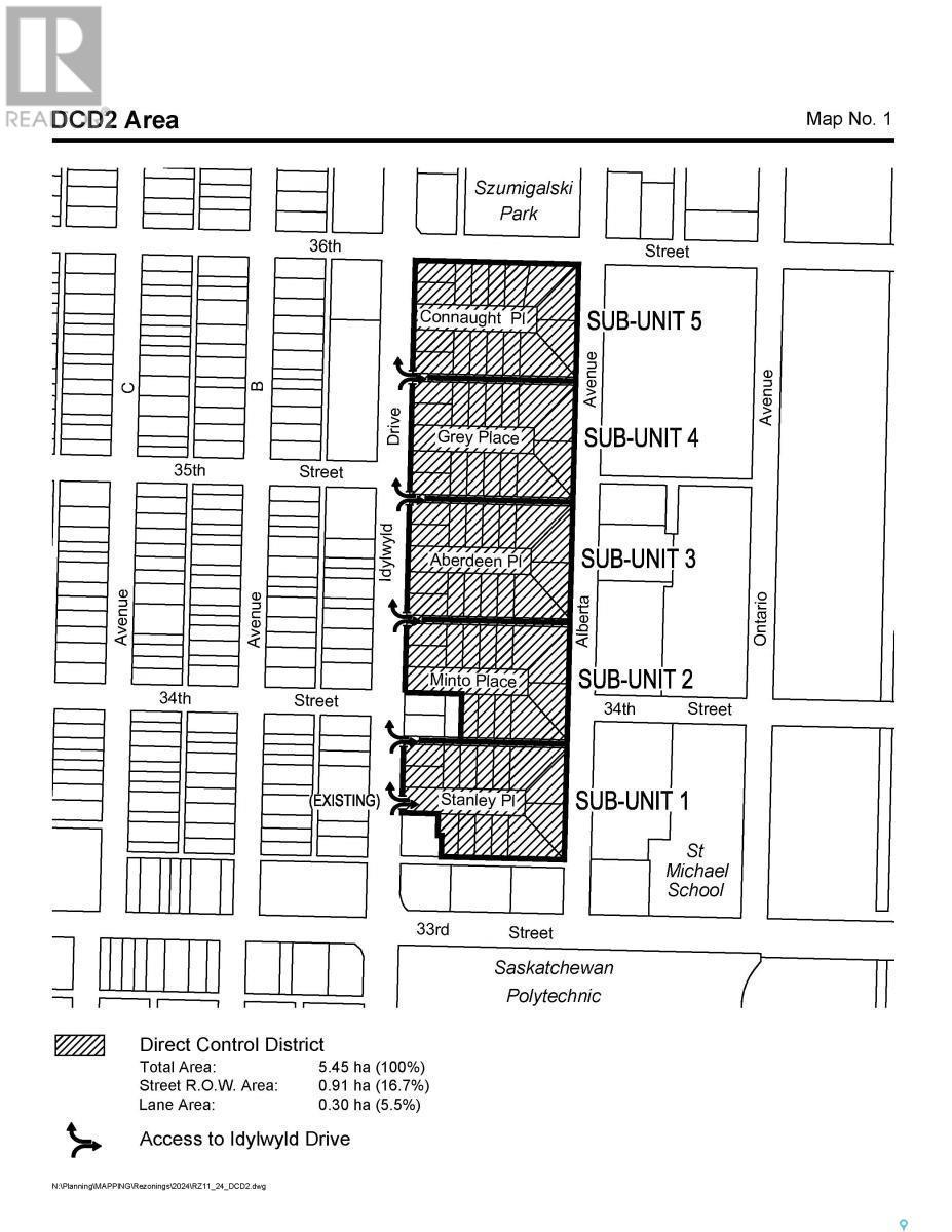
Vacant Land For Sale In Kelsey - Woodlawn, Saskatoon, Saskatchewan
$174,900None Beds
-
Details
-
Map
-
Demographics
-
Street View
-
Get Directions
-
Advertising



